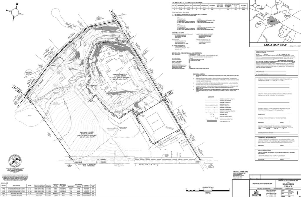
Kimberton Town Square

Negotiated purchase of three parcels containing approximately 30-acres  with large white farmhouse and commercial zoning. Managed proposed design/engineering for various layouts and users.

kimberton town square